Este día visitaríamos la más grande de las Islas Galápagos: la Isla Isabela. Llamada así por la reina Isabel de Castilla (la Católica), y en inglés denominada Albemarle (en honor a un duque anglosajón, del que personalmente no sé nada, ni quiero saber).
Formada por la fusión de seis volcanes (Ecuador, Wolf, Darwin, Alcedo, Sierra Negra, Cerro Azul), cinco de los cuales están activos. Tiene unos 4600 kilómetros cuadrados de superficie, lo que equivale a un 60% del área de las islas, siendo la única por la que cruza la línea del ecuador.
Los volcanes pueden distinguirse en el mapa de la isla Isabela. El punto 7 es Cueva Tagus, el primer lugar que visitaríamos.
El recorrido permitiría ver la laguna y el volcán Darwin.
Vista de parte de la costa de la isla, temprano por la mañana.
En el agua ya podían verse tortugas nadando (y un par de pequeños tiburones martillo, de los que no hay foto).
La zona de cueva Tagus, es una bahía protegida de las corrientes que se crean entre las islas Isabela y Fernandina. Ha sido siempre refugio de navegantes que dejaron constancia de su estancia, pintando o tallando los nombres de sus barcos en las paredes de roca.
Vista de la bahía desde la zona de desembarco:
Los nombres de barcos y fechas se pueden ver por todas partes. Lo cual no deja de parecerme una tremenda "guarrería histórica" ("histórica" porque algunas fechas son muy antiguas):
El sendero recorrido es sencillo, permite ver la bahía desde una zona más alta (la isla que se ve al fondo es Fernandina):
Y la laguna Darwin, de colores verdes y azules, formada en un cono volcánico extinto:
Los restos de vulcanismo están por todas partes: pequeñas piedras que por su liguereza llegan a caer en forma de "lluvia" en las erupciones volcánicas, llamadas lapilli.
Lapilli
Algunas fotos de los colores que muestra la laguna Darwin, con la bahía y la isla Fernandina al fondo:
Una panorámica.
Por el camino, algunos entretenimientos:
La flor del llamado algodón de Darwin (Gossypium darwinii).
Un nopal gigante (Opuntia echios).
Libélula o chapulete
De camino al mirador del volcán Darwin.
Vistas desde el mirador: el volcán estaría a la derecha, dejando una panorámica inmensa de lava, que se pierde en el mar:
La escena volcánica desde satélite sería esta:
Al regreso unos cuantos bichejos:
Un león marino sesteando donde le parece, nunca puede faltar.
Y desde el bote, en el agua, cerca de la orilla, vimos al rarísimo (quedan menos de dos mil ejemplares) cormorán de Galápagos (Phalacrocorax harrisi), cuyas alas se han reducido y perdido la capacidad de volar. La abundancia de comida en el agua, le ha llevado a estar más pendiente de esta, y a utilizar lo que queda de sus cortas alas solo para nadar:
Además de sus "aparentemente" inútiles alas, llaman la atención sus ojos de un color azul océano increible.
Cerca de los cormoranes, otros bichos más comunes:
Cangrejo Sally Lighfoot o zayapa (Grapsus grapsus).
Cangrejo de roca negra.
Pelícano de Galápagos (Pelecanus occidentalis urinator).
Y más viejos graffitis marineros desde la orilla.
Algunas de esas inscripciones de "guarrería histórica" están en los estratos más altos de las laderas que forman la bahía:
Después de este paseo, tocó un poco de snorkel, a pesar de la visión de los dos pequeños tiburones martillo unas horas antes:
Ya dentro del agua.
Leones marinos, los dueños del agua.
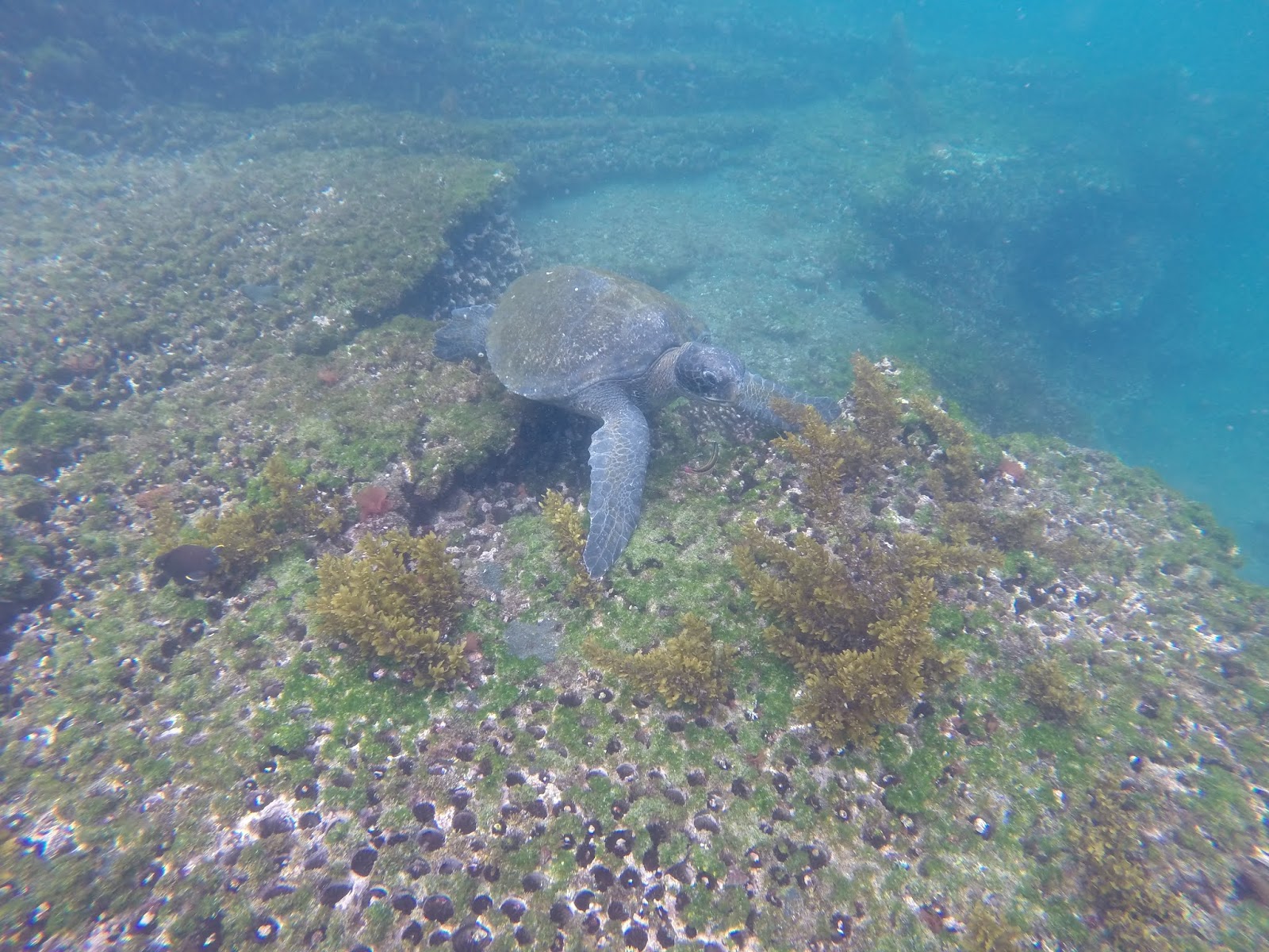
Tortugas verdes comiendo algas.
Un pez "chupa piedra" o "cachudito mono" (Ophioblennius steindachneri) se alimenta de las algas del caparazón de la tortuga.
La tortuga, sale a respirar cada cierto tiempo:
Un tiburón gato, agazapado en el fondo:
Un pez vieja ribeteada macho, en los jardines marinos:
Y un par de estrellas de mar: Panamica (más grande) y estrella Chispas de chocolate (amarilla). A la derecha un erizo punta de lápiz.
Más estrellas:
Y fin de la estancia en Cueva Tagus. Nos dirigiríamos a otro punto en la Isla Isabela. Por el camino vimos saltar algunas ballenas a lo lejos (de las que no tengo fotos).
Nuestra próxima parada en Isla Isabela, sería la bahía Urbina (8):
Vista desde satélite:
La playa de la bahía Urbina, desde la que sale el camino que se recorre (al fondo se ve la isla Fernandina):
En la playa pueden verse zonas marcadas porque son lugar de puesta de huevos de tortugas, en los que no hay que pisar:
Durante el recorrido, bichejos varios, como este pájaro pinzón hembra (la adaptación de sus picos al tipo de alimento, fue una de las bases de la Teoría de la Evolución):
Uno de los tipos de iguanas terrestres de Galápagos (Conolophus_subcristatus), con su característico color amarillo anaranjado:
Normalmente, esta es su posición más activa:
Y un halcón de Galápagos:
Halcón de Galápagos.
Después, un snorkel en la bahía Urbina, que no dejó ver mucho: poca visilidad, el agua estaba muy movida.
Así que de vuelta a la supercie:
A observar a las fragatas:
Y a dejar que acudieran a la luz que llegaba al agua, todo tipo de peces, y con ellos, leones marinos y tiburones:










































No hay comentarios:
Publicar un comentario